Depuis 2003, KEOPS Toulouse accompagne les entreprises dans leurs projets immobiliers sur toute l’aire urbaine toulousaine.Notre équipe de professionnels passionnés met à votre service sa connaissa ...
En savoir plus

367 m²
Bureau à vendre - 367 m²
Toulouse (31000)
Dernière mise à jour : Il y a 4 jours
- A VENDRE -
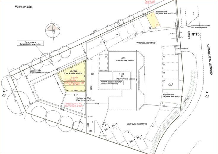
Immeuble de bureaux indépendant en R+2, idéalement situé au cœur de la Zone de La Plaine à l'Est de Toulouse, dans une zone dynamique et en pleine expansion.
Périphérique : sortie n° 17 "Lasbordes" et n°18 "Montaudran" Bus : ligne n° 37 Gare Matabiau : 12 min Aéroport : 20 min
Découvrez cet immeuble de bureaux indépendant en R+2, idéalement situé au cœur de la Zone de La Plaine à l'Est de Toulouse, dans une zone dynamique et en pleine expansion, au sein d'une copropriété composée de 2 bâtiments.Profitez d'une localisation stratégique à proximité du périphérique et de la future ligne de métro, offrant une accessibilité optimale pour vos collaborateurs et clients. L'immeuble bénéficie également d'une visibilité exceptionnelle sur l'axe passantImmeuble indépendant en R+2 d'une superficie d'environ 367 m²Plateau livré cloisonné : Accueil, plusieurs bureaux simples et bureaux doubles, salle de réunion, cuisine, doucheGrandes Terrasses privatives situées au R+1 et R+2Câblage informatique (fibre optique)Système de climatisation réversibleParking : Environ 11 places privatives. Année de construction : - RDC et R+1 : 2001- Agrandissement R+1 : 2014- R+2 : 2020
Périphérique : sortie n° 17 "Lasbordes" et n°18 "Montaudran" Bus : ligne n° 37 Gare Matabiau : 12 min Aéroport : 20 min
Découvrez cet immeuble de bureaux indépendant en R+2, idéalement situé au cœur de la Zone de La Plaine à l'Est de Toulouse, dans une zone dynamique et en pleine expansion, au sein d'une copropriété composée de 2 bâtiments.Profitez d'une localisation stratégique à proximité du périphérique et de la future ligne de métro, offrant une accessibilité optimale pour vos collaborateurs et clients. L'immeuble bénéficie également d'une visibilité exceptionnelle sur l'axe passantImmeuble indépendant en R+2 d'une superficie d'environ 367 m²Plateau livré cloisonné : Accueil, plusieurs bureaux simples et bureaux doubles, salle de réunion, cuisine, doucheGrandes Terrasses privatives situées au R+1 et R+2Câblage informatique (fibre optique)Système de climatisation réversibleParking : Environ 11 places privatives. Année de construction : - RDC et R+1 : 2001- Agrandissement R+1 : 2014- R+2 : 2020
| Etage | Surface | Type de locaux | Disponibilité |
|---|---|---|---|
| RDC | 170,00 m² | Bureaux | Nous consulter |
| 1er | 143,00 m² | Bureaux | Nous consulter |
| 2ème | 54,00 m² | Bureaux | Nous consulter |
Voir plus
Afficher les consommations énergétiques
Localisation et transport aux alentours
Favoris
Exporter
Appeler
Contacter
Signaler cette annonce
