MCarré Conseil est une agence spécialiste de l'immobilier d’entreprise du sud de l’Île-de-France (en Essonne et dans le sud de la Seine-et-Marne et du Val-De-Marne). Elle vous accompagne à chaque é ...
En savoir plus

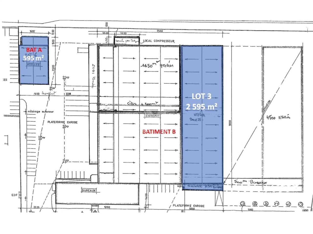
2 595 m²
HT HC
Location activité/entrepôt - 2595 m²
Courcouronnes (91080)
Dernière mise à jour : Il y a 3 jours
Foncier de 24 566 m²
Au pied de l'autoroute A6, dans un programme clos et sécurisé implanté au sein du Parc du Bois de l'Epine, nous vous proposons à la location un lot à usage d'activités/entrepôts et bureaux d'accompagnement de 2 595 m²
Impôt Foncier : 10,03 €//HT/m²/an
Régime Fiscal : TVA
Dépôt de garantie : 3 mois de loyer HT/HC
Honoraires : 15 % HT du loyer annuel HT/HC à la charge du Preneur
Taxe Bureau : 5,49 €/m²/an
Information sur le Bail :
Les charges ne comprennent pas l'eau, le gaz et l'électricité
Prestations :
Accessibilité:
Autoroute Autoroute A6, sortie n°7
Route Nationale 104 Francilienne, sortie n°36
Route Nationale 7
RER RER D4 : Evry-Courcouronnes
RER RER D4 : Orangis - Bois de l'Epine
Tram Traité de Rome (Ligne T12)
Bus Jean Mermoz (Ligne 404, Ligne 414, Ligne 413), Les Osiers (Ligne 403)
Les informations sur les risques auxquels ce bien est exposé sont disponibles sur le site Géorisques : www.georisques.gouv.fr
Au pied de l'autoroute A6, dans un programme clos et sécurisé implanté au sein du Parc du Bois de l'Epine, nous vous proposons à la location un lot à usage d'activités/entrepôts et bureaux d'accompagnement de 2 595 m²
| Étage | Type | Surfaces | Dispo | Loyer | Charges | Type de bailRév. annuelle |
|---|---|---|---|---|---|---|
| R+1 | Bureaux | 250 | Indice ILAT | |||
| Rdc | Activités | 2345 | Indice ILAT | |||
| Total Cellule LOT 3 C2C | Activités | 2595 | Immédiate | 75 m²/an HT HC | 3,46 /HT/m²/an | 3/6/9 ansIndice ILAT |
| Rdc | Parkings | Indice ILAT |
Impôt Foncier : 10,03 €//HT/m²/an
Régime Fiscal : TVA
Dépôt de garantie : 3 mois de loyer HT/HC
Honoraires : 15 % HT du loyer annuel HT/HC à la charge du Preneur
Taxe Bureau : 5,49 €/m²/an
Information sur le Bail :
Les charges ne comprennent pas l'eau, le gaz et l'électricité
Prestations :
- Site sécurisé et gardienné
- Accès gros porteurs
- Rampe d'accès
- BUREAUX :
- Bureaux en open-space
- Climatisation réversible
- Locaux sociaux
- ACTIVITÉ :
- Brasseur d'air
- RIA
- Surface RDC : 2345 m²
- Surface terrain : 69334
- Haut. libre min. ss poutre : 6,5 m
- Haut. libre max. ss poutre : 9 m
- Résistance sol : 3 T/m²
- Chauffage : Aérothermes gaz
- Ossature : Métallique
- Murs périmétriques : Béton
- Couverture : Bac acier
Accessibilité:
Autoroute Autoroute A6, sortie n°7
Route Nationale 104 Francilienne, sortie n°36
Route Nationale 7
RER RER D4 : Evry-Courcouronnes
RER RER D4 : Orangis - Bois de l'Epine
Tram Traité de Rome (Ligne T12)
Bus Jean Mermoz (Ligne 404, Ligne 414, Ligne 413), Les Osiers (Ligne 403)
Les informations sur les risques auxquels ce bien est exposé sont disponibles sur le site Géorisques : www.georisques.gouv.fr
Voir plus
Afficher les consommations énergétiques
Localisation et transport aux alentours
Favoris
Exporter
Appeler
Contacter
Signaler cette annonce
