L'équipe de G2B Real Estate est agence immobilière spécialiste de l'immobilier d'entreprise partout en Île-de-France depuis plus de 13 ans. Hasan Gulbol (Associé), Frédéric Bazil (Associé), Philipp ...
En savoir plus

804 m²
HT HC
Location bureau - 804 m²
Chanteloup-en-Brie (77600)
Dernière mise à jour : Hier
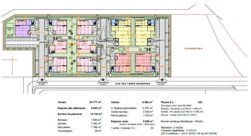
A proximité de l'autoroute A4 et A104, G2B REAL ESTATE vous propose à la location un bâtiment indépendant d'activité et bureaux dans un parc d'activité neuf,.
Impôt Foncier : 12,5 €/m²/an
Régime Fiscal : TVA
Dépôt de garantie : 3 mois de loyer HT HC
Honoraires : 15% HT du loyer annuel HT HC à la charge du Preneur
Prestations :
Accessibilité:
Autoroute A4 : accès direct par la D231
RER Val d'Europe (A)
Bus Vingt-deux Arpents (BUS-42)
Les informations sur les risques auxquels ce bien est exposé sont disponibles sur le site Géorisques : www.georisques.gouv.fr
| Étage | Type | Surfaces | Dispo | Loyer | Charges | Type de bailRév. annuelle |
|---|---|---|---|---|---|---|
| 1 | Bureaux | 123 | Indice ILAT | |||
| Rdc | Activités | 681 | Indice ILAT | |||
| Total Cellule | Activités | 804 | Immédiate | 120 m²/an HT HC | 10 m²/an HT | 3/6/9 ansIndice ILAT |
Impôt Foncier : 12,5 €/m²/an
Régime Fiscal : TVA
Dépôt de garantie : 3 mois de loyer HT HC
Honoraires : 15% HT du loyer annuel HT HC à la charge du Preneur
Prestations :
- Espaces verts
- Parkings VL, parkings avec bornes recharge électriques
- Balcons spacieux à chaque bâtiment
- Bureaux en rez-de-chaussée et mezzanine
- Charge au sol au R+1 : 350 kg/m²
- Immeuble indépendant
- Surface RDC : 681 m²
- Surface terrain : 24777
- Haut. libre max. ss poutre : 8 m
- Résistance sol : 3 T/m²
- Equipements entrepôts : Portes sectionnelles 4x4.50 m avec accès piéton
Tarif Jaune
Accessibilité:
Autoroute A4 : accès direct par la D231
RER Val d'Europe (A)
Bus Vingt-deux Arpents (BUS-42)
Les informations sur les risques auxquels ce bien est exposé sont disponibles sur le site Géorisques : www.georisques.gouv.fr
Voir plus
Afficher les consommations énergétiques
Localisation et transport aux alentours
Favoris
Exporter
Appeler
Contacter
Signaler cette annonce
