Conseil en immobilier d'entreprise, Cushman & Wakefield est un acteur incontournable au rayonnement international. Cushman & Wakefield offre des solutions dans toutes les étapes que comporte un p ...
En savoir plus



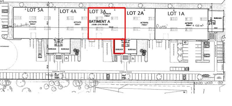
1 002 m²
HT HC
PARC D'ACTIVITE DE GENEVE - Location activité/entrepôt - 1002 m²
Saint-Priest (69800)
Dernière mise à jour : Il y a 2 jours
À louer - Locaux d'activité de 1 002 m² à Saint-Priest (69800) - ZI PIERRE BLANCHE.
Immeuble PARC D'ACTIVITE DE GENEVE
CUSHMAN & WAKEFIELD vous propose à la location des locaux d'acitivté de 1 000 m² situé sur la commune de SAINT PRIEST (69800).
Situé au coeur de la Zone Industrielle Mi-Plaine à Saint-Priest (69800), ce local d'activités de 1 002 m² non divisibles offre une opportunité rare dans un secteur dynamique de l'Est lyonnais. Idéalement implanté avec un accès direct à la Route Nationale 6, avec un accès direct à l'autoroute A46 (sortie RN6 - St-Priest), ce site bénéficie également d'une excellente desserte vers les autoroutes A43, A7 et le périphérique Laurent Bonnevay. L'aéroport de Lyon Saint-Exupéry est accessible en moins de 10 minutes.
Le bâtiment se compose de 722 m² de surface d'activité avec une hauteur libre de 6,8 m, une porte sectionnelle (4,5 m x 4 m), une cour de déchargement, un quai niveleur, et une dalle béton anti-poussière. Les 280 m² de bureaux sont entièrement aménagés, climatisés, cloisonnés et câblés, avec kitchenette et douche. Le chauffage est assuré par aérothermes gaz.
Local d'activité à louer à 69800 Saint-Priest - ZI Mi-Plaine - RN6 - Proximité A46 / A43 / A7 / Lyon Saint-Exupéry
Impôt Foncier : 10,42 €//m²/an
Régime Fiscal : T.V.A.
Honoraires : à la charge du preneur
Information sur le Bail :
Charges : 10 106 euros/an Taxe F oncière : 10 439 euros/an
Prestations :
Accessibilité:
Accès routier En façade de la Route Nationale 6
Accès routier Accès direct par l'autoroute A46
Accès routier Sortie "RN6 - St-Priest"
Accès routierRaccordement rapide aux autoroutes A43, A7, ainsi qu'au boulevard périphérique Laurent Bonnevay.
AéroportAéroport de Lyon Saint-Exupery à 10 mn
Les informations sur les risques auxquels ce bien est exposé sont disponibles sur le site Géorisques : www.georisques.gouv.fr
Immeuble PARC D'ACTIVITE DE GENEVE
CUSHMAN & WAKEFIELD vous propose à la location des locaux d'acitivté de 1 000 m² situé sur la commune de SAINT PRIEST (69800).
Situé au coeur de la Zone Industrielle Mi-Plaine à Saint-Priest (69800), ce local d'activités de 1 002 m² non divisibles offre une opportunité rare dans un secteur dynamique de l'Est lyonnais. Idéalement implanté avec un accès direct à la Route Nationale 6, avec un accès direct à l'autoroute A46 (sortie RN6 - St-Priest), ce site bénéficie également d'une excellente desserte vers les autoroutes A43, A7 et le périphérique Laurent Bonnevay. L'aéroport de Lyon Saint-Exupéry est accessible en moins de 10 minutes.
Le bâtiment se compose de 722 m² de surface d'activité avec une hauteur libre de 6,8 m, une porte sectionnelle (4,5 m x 4 m), une cour de déchargement, un quai niveleur, et une dalle béton anti-poussière. Les 280 m² de bureaux sont entièrement aménagés, climatisés, cloisonnés et câblés, avec kitchenette et douche. Le chauffage est assuré par aérothermes gaz.
Local d'activité à louer à 69800 Saint-Priest - ZI Mi-Plaine - RN6 - Proximité A46 / A43 / A7 / Lyon Saint-Exupéry
| Étage | Type | Surfaces | Dispo | Loyer | Charges | Type de bailRév. annuelle |
|---|---|---|---|---|---|---|
| Activités | 722 | Sur l'indice ILAT | ||||
| Bureaux | 280 | Sur l'indice ILAT | ||||
| Parkings | Sur l'indice ILAT | |||||
| Total Cellule LOT A3 | Activités | 1002 | 100 HT/HC/m²/an | 10 HT/m²/an | 3-6-9 ansSur l'indice ILAT |
Impôt Foncier : 10,42 €//m²/an
Régime Fiscal : T.V.A.
Honoraires : à la charge du preneur
Information sur le Bail :
Charges : 10 106 euros/an Taxe F oncière : 10 439 euros/an
Prestations :
- Accès de plain-pied / Accès semi
- Cour de déchargement
- 1 porte sectionnelle(Hauteur:4,5 m-Largeur:4 m)
- Portail manuel
- Parkings à l'aplomb du local
- Activité
- Dalle industrielle béton traité anti poussière
- Quai niveleur
- Accès plain-pied par porte sectionnelle
- Chauffage par aérotherme gaz
- Hauteur libre 6.8 m
- Bureaux
- Bureaux avec climatisation réversible
- Cloisonné et câblé
- Kitchenette
- Douche
- Surface RDC : 0 m²
- Equipements entrepôts : Portes sectionnelles de plain pied
Chauffage par aérothermes gaz
Dalle industrielle
Traitement anti-poussière (sol)
Accessibilité:
Accès routier En façade de la Route Nationale 6
Accès routier Accès direct par l'autoroute A46
Accès routier Sortie "RN6 - St-Priest"
Accès routierRaccordement rapide aux autoroutes A43, A7, ainsi qu'au boulevard périphérique Laurent Bonnevay.
AéroportAéroport de Lyon Saint-Exupery à 10 mn
Les informations sur les risques auxquels ce bien est exposé sont disponibles sur le site Géorisques : www.georisques.gouv.fr
Voir plus
Afficher les consommations énergétiques
Localisation et transport aux alentours
Favoris
Exporter
Appeler
Contacter
Signaler cette annonce
