RCG Bordeaux est un cabinet de conseil en immobilier d'entreprise est située au cœur du quartier des Chartrons au 107 cours Balguerie Stuttenberg à Bordeaux. Cette agence propose un large choix de ...
En savoir plus

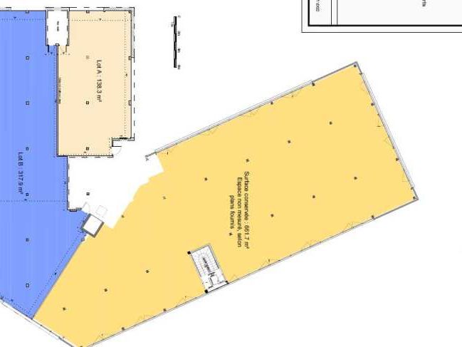
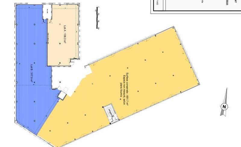
1 219 m² divisible dès 152 m²
HT HC
Location bureau - 1219 m²
Villenave-d'Ornon (33140)
Dernière mise à jour : Il y a 3 mois
A LOUER - BUREAUX LUMINEUX 1 218 M² DIVISIBLES A PARTIR DE 152 M²- VILLENAVE D'ORNON
Immeuble CENTRAL PARK
Au pied de la rocade et à proximité du château de Thouars, RCG vous propose à la location deux plateaux de bureaux lumineux.
Plusieurs options de division envisageables à partir de 152 m²
Impôt Foncier : 31,45 €/m²/an HT
Régime Fiscal : T.V.A.
Dépôt de garantie : 3 mois de loyer HT/ HC
Honoraires : 15% HT du loyer annuel économique HT/HC à la charge du Preneur
Information sur le Bail :
Loyer parkings aériens : 300 euros HT/U/AN Loyer parkings sous-sol : 800 euros HT/U/AN
Prestations :
Accessibilité:
Bus Bus lignes 20/34 "Thouars"
Route Accès direct rocade sortie n°17
Les informations sur les risques auxquels ce bien est exposé sont disponibles sur le site Géorisques : www.georisques.gouv.fr
Immeuble CENTRAL PARK
Au pied de la rocade et à proximité du château de Thouars, RCG vous propose à la location deux plateaux de bureaux lumineux.
Plusieurs options de division envisageables à partir de 152 m²
| Étage | Type | Surfaces | Dispo | Loyer | Charges | Type de bailRév. annuelle |
|---|---|---|---|---|---|---|
| 2 | Bureaux | 502,77 | Immédiate | 130 HT/HC/m²/an | 33,59 m²/an TTC | 3-6-9 ansILAT Indice des Loyers des Activités Tertiaires |
| 1 | Bureaux | 716 | Immédiate | 130 HT/HC/m²/an | 38,12 m²/an TTC | 3-6-9 ansILAT Indice des Loyers des Activités Tertiaires |
Impôt Foncier : 31,45 €/m²/an HT
Régime Fiscal : T.V.A.
Dépôt de garantie : 3 mois de loyer HT/ HC
Honoraires : 15% HT du loyer annuel économique HT/HC à la charge du Preneur
Information sur le Bail :
Loyer parkings aériens : 300 euros HT/U/AN Loyer parkings sous-sol : 800 euros HT/U/AN
Prestations :
- Immeuble récent
- Digicode / visiophone
- Accès PMR / ascenseur
- Sol moquette
- Faux plafond
- Câblage RJ45 Cat 6
- Climatisation réversible
- Fibre optique
- lot 2ème étage : Cloisonnement amovible (13 bureaux)
- Salle de réunion
- Cuisine
- Places de parking aériennes et en sous-sol
- Local vélos
Accessibilité:
Bus Bus lignes 20/34 "Thouars"
Route Accès direct rocade sortie n°17
Les informations sur les risques auxquels ce bien est exposé sont disponibles sur le site Géorisques : www.georisques.gouv.fr
Voir plus
Afficher les consommations énergétiques
Favoris
Exporter
Appeler
Contacter
Signaler cette annonce










