Conseil en immobilier d'entreprise, Cushman & Wakefield est un acteur incontournable au rayonnement international. Cushman & Wakefield offre des solutions dans toutes les étapes que comporte un p ...
En savoir plus



3 930 m² divisible dès 584 m²
HT HC
RENAISSANCE - Location bureau - 3930 m²
Guyancourt (78280)
Dernière mise à jour : Il y a 4 jours
LE RENAISSANCE
Immeuble RENAISSANCE
À louer - Bureaux à Guyancourt, Saint-Quentin-en-Yvelines
Au sein de l'immeuble Renaissance, un bâtiment de standing offrant une excellente visibilité, nous vous proposons plusieurs surfaces de bureaux rénovées et climatisées, divisibles à partir de 314 m², pour une surface totale de 3 192 m².
Situé à 15 minutes à pied de la gare de Saint-Quentin-en-Yvelines, cet immeuble moderne (en R+3, signé Arte Charpentier) bénéficie d'une certification BREEAM Very Good et de prestations de qualité :
- Hôtesse d'accueil et contrôle d'accès par badge
- Restaurant Inter-Entreprises rénové (avec équipements multimédias pour réunions
- Espace snacking et barista dans le hall
- Monte-charge (capacité 1 200 kg)
- Surveillance sur site
Atout majeur : excellent ratio de parkings en sous-sol avec 204 places intérieures et 5 extérieures.
Accessibilité optimale via le RER C, les lignes Transilien N et U, ainsi que les axes routiers A13, A12, A86, N118 et N12.
Disponibilité immédiate. Contactez-nous pour plus d'informations ou organiser une visite !
Impôt Foncier : 32 €//m²/an
Régime Fiscal : T.V.A.
Dépôt de garantie : 3 mois de loyer HT/HC
Honoraires : 15 % HT du loyer annuel HT/HC à la charge du preneur.
Taxe Bureau : 5,4 €/m²/an
Information sur le Bail :
Assurances : 1,8 euros/m²/an HT Les charges comprennent une partie des consommations privatives de chauffage / climatisations pour un total de 22,1 euros/m²/an HT
Prestations :
Accessibilité:
Saint-Quentin en Yvelines - Montigny-le-Bretonneux (TER)
Saint-Quentin en Yvelines - Montigny-le-Bretonneux (N, U)
Accès routier Entrée (A 12 Entrée), Sortie (A 12 Sortie)
Bus Rond-Point des Saules (5151, 5198, FA), Droits de l'Homme (6254), La Batterie (7805, N162)
Les informations sur les risques auxquels ce bien est exposé sont disponibles sur le site Géorisques : www.georisques.gouv.fr
Immeuble RENAISSANCE
À louer - Bureaux à Guyancourt, Saint-Quentin-en-Yvelines
Au sein de l'immeuble Renaissance, un bâtiment de standing offrant une excellente visibilité, nous vous proposons plusieurs surfaces de bureaux rénovées et climatisées, divisibles à partir de 314 m², pour une surface totale de 3 192 m².
Situé à 15 minutes à pied de la gare de Saint-Quentin-en-Yvelines, cet immeuble moderne (en R+3, signé Arte Charpentier) bénéficie d'une certification BREEAM Very Good et de prestations de qualité :
- Hôtesse d'accueil et contrôle d'accès par badge
- Restaurant Inter-Entreprises rénové (avec équipements multimédias pour réunions
- Espace snacking et barista dans le hall
- Monte-charge (capacité 1 200 kg)
- Surveillance sur site
Atout majeur : excellent ratio de parkings en sous-sol avec 204 places intérieures et 5 extérieures.
Accessibilité optimale via le RER C, les lignes Transilien N et U, ainsi que les axes routiers A13, A12, A86, N118 et N12.
Disponibilité immédiate. Contactez-nous pour plus d'informations ou organiser une visite !
| Étage | Type | Surfaces | Dispo | Loyer | Charges | Type de bailRév. annuelle |
|---|---|---|---|---|---|---|
| 2 | Bureaux | 901 | Immédiate | 170 HT/HC/m²/an | 66 HT/m²/an | 3-6-9 ansSur l'indice ILAT |
| 2 | Bureaux | 643 | Immédiate | 170 HT/HC/m²/an | 66 HT/m²/an | 3-6-9 ansSur l'indice ILAT |
| 2 | Bureaux | 617 | Immédiate | 170 HT/HC/m²/an | 66 HT/m²/an | 3-6-9 ansSur l'indice ILAT |
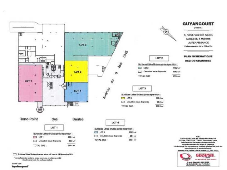
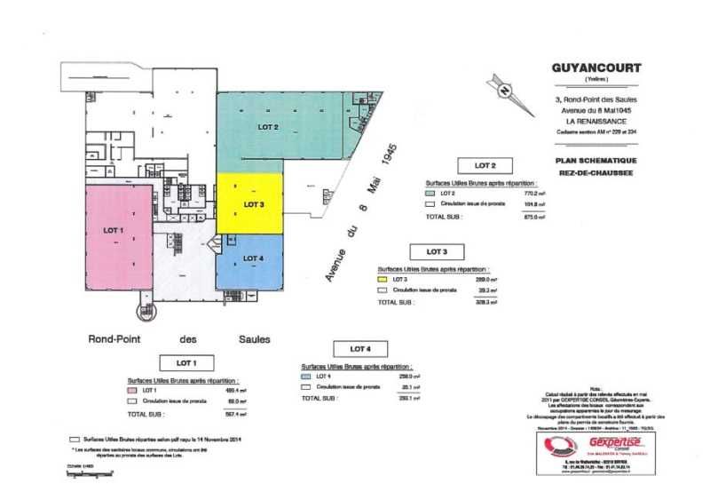
| 1 | Bureaux | 584 | Immédiate | 170 HT/HC/m²/an | 66 HT/m²/an | 3-6-9 ansSur l'indice ILAT |
| RdC | Bureaux | 1185 | Immédiate | 170 HT/HC/m²/an | 66 HT/m²/an | 3-6-9 ansSur l'indice ILAT |
| SS | Arch./Reser. | 107 | 85 HT/HC/m²/an | 3-6-9 ansSur l'indice ILAT | ||
| SS | Arch./Reser. | 97 | 85 HT/HC/m²/an | 3-6-9 ansSur l'indice ILAT | ||
| SS | Arch./Reser. | 92 | 85 HT/HC/m²/an | 3-6-9 ansSur l'indice ILAT | ||
| SS | Arch./Reser. | 88 | 85 HT/HC/m²/an | 3-6-9 ansSur l'indice ILAT | ||
| SS | Arch./Reser. | 87 | 85 HT/HC/m²/an | 3-6-9 ansSur l'indice ILAT | ||
| SS | Arch./Reser. | 85 | 85 HT/HC/m²/an | 3-6-9 ansSur l'indice ILAT | ||
| Sous-Sol | Parkings | 900 HT/HC/U/an | 50 HT/U/an | 3-6-9 ansSur l'indice ILAT | ||
| pkg Ext | Parkings | 800 HT/HC/U/an | 50 HT/U/an | 3-6-9 ansSur l'indice ILAT |
Impôt Foncier : 32 €//m²/an
Régime Fiscal : T.V.A.
Dépôt de garantie : 3 mois de loyer HT/HC
Honoraires : 15 % HT du loyer annuel HT/HC à la charge du preneur.
Taxe Bureau : 5,4 €/m²/an
Information sur le Bail :
Assurances : 1,8 euros/m²/an HT Les charges comprennent une partie des consommations privatives de chauffage / climatisations pour un total de 22,1 euros/m²/an HT
Prestations :
- Immeuble construit en 2001 développant une surface d'environ 12000 m² de bureaux en R+3
- Labelisé BREEAM Very Good
- Capacitaire : ratio de 1 poste/10,5m² utiles
- Bureaux climatisés
- Plateaux rénovés
- Contrôle accès badge
- 3 ascenseurs
- Accès PMR
- 1 monte charge (1 200 kg)
- Surveillance sur site
- Restaurant Interentreprises rénové pouvant accueillir les réunions (écrans, WIFI)
- Snacking et barista dans le hall
- Salle de sport à proximité
- Conciergerie à l'étude
- Surface RDC : 1185 m²
Accessibilité:
Saint-Quentin en Yvelines - Montigny-le-Bretonneux (TER)
Saint-Quentin en Yvelines - Montigny-le-Bretonneux (N, U)
Accès routier Entrée (A 12 Entrée), Sortie (A 12 Sortie)
Bus Rond-Point des Saules (5151, 5198, FA), Droits de l'Homme (6254), La Batterie (7805, N162)
Les informations sur les risques auxquels ce bien est exposé sont disponibles sur le site Géorisques : www.georisques.gouv.fr
Parking(s) intérieur(s) Parking(s) extérieur(s)
Voir plus
Afficher les consommations énergétiques
Localisation et transport aux alentours
Favoris
Exporter
Appeler
Contacter
Signaler cette annonce










