L'équipe de G2B Real Estate est agence immobilière spécialiste de l'immobilier d'entreprise partout en Île-de-France depuis plus de 13 ans. Hasan Gulbol (Associé), Frédéric Bazil (Associé), Philipp ...
En savoir plus

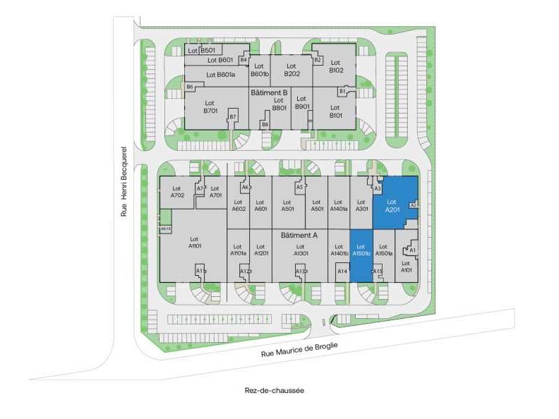
4 274 m² divisible dès 95 m²
HT HC
Location activité/entrepôt - 4274 m²
Aulnay-sous-Bois (93600)
Dernière mise à jour : Il y a 27 jours
Situé à Aulnay-sous-Bois; G2B Real Estate propose plusieurs surfaces de bureaux et d'activités, l'actif bénéficie d'une excellente liaison grâce à sa liaison aux grands axes routiers (A3/A1/N2) reliant plusieurs points de la capitale (15 min via l'A1). Le site est également à proximité immédiate de Garonor, pôle économique de référence du nord de l'Ile-de-France. Plusieurs lignes de bus desservent la zone.
Impôt Foncier : 16,4 €/m²/an
Régime Fiscal : TVA
Dépôt de garantie : 3 mois de loyer en principal
Honoraires : 15% ht du loyer annuel à la charge du preneur.
Taxe Bureau : 3,2 €/m²/an
Prestations :
Accessibilité:
Bus Marceau (BUS-627, BUS-23, BUS-617), Vieux Pays (BUS-615)
Autoroute A1
Autoroute A3
Route N2
Les informations sur les risques auxquels ce bien est exposé sont disponibles sur le site Géorisques : www.georisques.gouv.fr
| Étage | Type | Surfaces | Dispo | Loyer | Charges | Type de bailRév. annuelle |
|---|---|---|---|---|---|---|
| 1 | Bureaux | 59 | Indice ILAT | |||
| Rdc | Activités | 316 | Indice ILAT | |||
| Total Cellule A1401b et A1411 | Activités | 375 | Avril 2026 | 118 m²/an HT HC | 45,4 an HT | Indice ILAT |
| 1 | Bureaux | 93 | Indice ILAT | |||
| Rdc | Activités | 540 | Indice ILAT | |||
| 1501 | Activités | 633 | Avril 2026 | 118 m²/an HT HC | 45,4 an HT | Indice ILAT |
| 1 | Bureaux | 292 | Indice ILAT | |||
| Rdc | Activités | 650 | Indice ILAT | |||
| 201 | Activités | 942 | Immédiate | 118 m²/an HT HC | 45,4 an HT | Indice ILAT |
| Activités | 358 | Immédiate | 118 m²/an HT HC | 40,5 an HT | Indice ILAT | |
| 1D | Bureaux | 322 | Immédiate | 110 m²/an HT HC | 45,4 m²/an HT | Indice ILAT |
| 1 | Bureaux | 118 | Immédiate | 118 m²/an HT HC | 23,7 m²/an HT | Indice ILAT |
| Rdc | Activités | 498 | Juillet 2026 | 118 m²/an HT HC | 45,4 an HT | Indice ILAT |
| 1 | Bureaux | 108 | Indice ILAT | |||
| Rdc | Activités | 146 | Indice ILAT | |||
| Total Cellule B201 | Activités | 254 | Immédiate | 118 m²/an HT HC | 40,5 an HT | Indice ILAT |
| 1 | Bureaux | 162 | Indice ILAT | |||
| Rdc | Activités | 517 | Indice ILAT | |||
| 801 | Activités | 679 | Immédiate | 118 m²/an HT HC | 40,5 an HT | Indice ILAT |
| Rdc | Activités | 95 | Immédiate | 115 m²/an HT HC | 40,5 an HT | Indice ILAT |
Impôt Foncier : 16,4 €/m²/an
Régime Fiscal : TVA
Dépôt de garantie : 3 mois de loyer en principal
Honoraires : 15% ht du loyer annuel à la charge du preneur.
Taxe Bureau : 3,2 €/m²/an
Prestations :
- Surface RDC : 2762 m²
- Surface terrain : 0
- Haut. libre min. ss poutre : -6 m
- Accès bâtiment : Gros Porteurs
Moyens Porteurs - Ossature : Béton
- Murs périmétriques : Béton
Accessibilité:
Bus Marceau (BUS-627, BUS-23, BUS-617), Vieux Pays (BUS-615)
Autoroute A1
Autoroute A3
Route N2
Les informations sur les risques auxquels ce bien est exposé sont disponibles sur le site Géorisques : www.georisques.gouv.fr
Voir plus
Afficher les consommations énergétiques
Localisation et transport aux alentours
Favoris
Exporter
Appeler
Contacter
Signaler cette annonce










