L’agence CBRE Lille conseille et accompagne les chefs d’entreprise dans leurs projets immobiliers quels que soient leur taille et leur secteur d’activité. Spécialistes de la transaction de bureaux, ...
En savoir plus

722 m²
HT HC
Location activité/entrepôt - 722 m²
Roncq (59223)
Dernière mise à jour : Hier
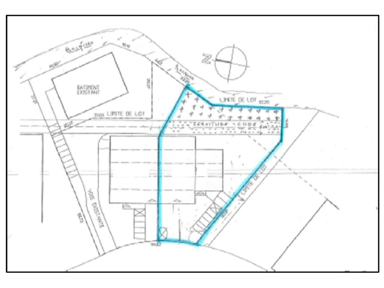
CBRE LILLE, spécialiste de l'immobilier d'entreprise, vous propose à la vente ou à la location une cellule d'activités semi-mitoyenne sur la commune de RONCQ comprenant un showroom, une salle de pause, des sanitaires avec douche ainsi que des bureaux cloisonnés. Le bâtiment dispose de 31 places de parking dont 2 PMR et bénéficie d'un bel effet vitrine depuis l'autoroute A22. Bien rare sur le secteur, contactez-nous pour visiter !
Impôt Foncier : 14,8 €/HT/m²/an
Régime Fiscal : T.V.A.
Dépôt de garantie : 3 mois de loyer HT/HC
Paiement Loyer : trimestriel
Honoraires : 15% HT du loyer annuel HT/HC à la charge du preneur
Prestations :
Accessibilité:
Autoroute A23
Bus Liane ligne 4
Les informations sur les risques auxquels ce bien est exposé sont disponibles sur le site Géorisques : www.georisques.gouv.fr
| Étage | Type | Surfaces | Dispo | Loyer | Charges | Type de bailRév. annuelle |
|---|---|---|---|---|---|---|
| RDC | Activités | 498 | Immédiate | 0,54 HT/m²/an | Indice des Loyers Commerciaux | |
| RDC | Usage Mixte | 119,2 | Immédiate | 0,54 HT/m²/an | Indice des Loyers Commerciaux | |
| RDC | Bureaux | 104,62 | Immédiate | 0,54 HT/m²/an | Indice des Loyers Commerciaux | |
| Total Cellule Lot 2 | Activités | 721,82 | Immédiate | 0,54 HT/m²/an | 3-6-9 ansIndice des Loyers Commerciaux |
Impôt Foncier : 14,8 €/HT/m²/an
Régime Fiscal : T.V.A.
Dépôt de garantie : 3 mois de loyer HT/HC
Paiement Loyer : trimestriel
Honoraires : 15% HT du loyer annuel HT/HC à la charge du preneur
Prestations :
- Alarme
- Bureaux cloisonnés
- Chauffage au gaz
- Eclairage zénithal et fluorescent
- Faux plancher
- Faux plafonds
- Sol béton
- 31 Places de stationnement dont 2 PMR
- Immeuble indépendant
- Surface RDC : 721,82 m²
- Surface terrain : 0
- Haut. libre max. ss poutre : 5,5 m
- Accès bâtiment : aire de manoeuvre
moyens porteurs
gros porteurs - Nbr de portes plain pied : 1
- Ossature : Structure Béton
- Couverture : Bac acier isolé étanchéité multicouche
Accessibilité:
Autoroute A23
Bus Liane ligne 4
Les informations sur les risques auxquels ce bien est exposé sont disponibles sur le site Géorisques : www.georisques.gouv.fr
Voir plus
Afficher les consommations énergétiques
Favoris
Exporter
Appeler
Contacter
Signaler cette annonce










