Nous sommes Immprove, une grande équipe de plus de 200 experts en immobilier d’entreprise, implantés localement avec plus de 20 agences sur tout le territoire.Depuis 2009, notre proximité, notre ét ...
En savoir plus

3 643 m²
HT HC
Location activité/entrepôt - 3643 m²
Mions (69780)
Dernière mise à jour : Il y a 10 jours
CLE EN MAIN SUR TERRAIN INDEPENDANT
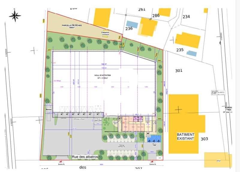
IMMPROVE vous propose à la location, sur un terrain indépendant, un bâtiment clé en main à construire de 3 643 m² dont 463 m² de bureaux.
6 portes à quais et une de plain pied. Produit rare sur la 1ère couronne.
Régime Fiscal : T.V.A. (20%)
Dépôt de garantie : 3 mois de loyer HT HC
Honoraires : 15 % HT du loyer annuel HT à la charge du preneur, payables à la signature du bail
Information sur le Bail :
. Loyer : Activité : 90 euros HT/m²/ an, . Bureaux : 135 euros HT/m²/ an, . Bureaux cloisonnés, câblés : 145 euros HT/m²/ an, .Parking : 250 eurosHT / place / an (+100 euros pour une place avec borne de recharge)
Prestations :
Accessibilité:
Bus La Palombière (BUS-30, BUS-ZI8)
Rocade Est A46 : Echangeur 12 St Priest Heyrieux à 600m
Les informations sur les risques auxquels ce bien est exposé sont disponibles sur le site Géorisques : www.georisques.gouv.fr
IMMPROVE vous propose à la location, sur un terrain indépendant, un bâtiment clé en main à construire de 3 643 m² dont 463 m² de bureaux.
6 portes à quais et une de plain pied. Produit rare sur la 1ère couronne.
| Étage | Type | Surfaces | Dispo | Loyer | Charges | Type de bailRév. annuelle |
|---|---|---|---|---|---|---|
| Activités | 3180 | 90 HT/HC/m²/an | Indice ILAT | |||
| Bureaux | 463 | 145 HT/HC/m²/an | Indice ILAT | |||
| Total Cellule | Activités | 3643 | Janvier 2026 | 96,99 HT/HC/m²/an | Bail Commercial 3-6-9 ansIndice ILAT | |
| Parkings | Janvier 2026 | 250 HT/HC/place/an | Bail Commercial 3-6-9 ansIndice ILAT |
Régime Fiscal : T.V.A. (20%)
Dépôt de garantie : 3 mois de loyer HT HC
Honoraires : 15 % HT du loyer annuel HT à la charge du preneur, payables à la signature du bail
Information sur le Bail :
. Loyer : Activité : 90 euros HT/m²/ an, . Bureaux : 135 euros HT/m²/ an, . Bureaux cloisonnés, câblés : 145 euros HT/m²/ an, .Parking : 250 eurosHT / place / an (+100 euros pour une place avec borne de recharge)
Prestations :
- Activité :
- Charpente métallique
- Toiture bac acier isolé avec skydome
- Bardage double peau
- Sol dalle béton traitée en surface
- Charge au sol 3 t/m²,
- Hauteur mini 8.5 m (hors gousset, arbalétrier
- et équipement de chauffage)
- 6 portes à quais et une de plain pied
- Accès poids lourds
- Parc clos avec portail automatique
- Bureaux :
- Sols : carrelage en RDC, moquette ou PVC en
- étage
- Hauteur libre sous faux plafond : 2.7 mètres
- Plinthes périphériques
- Eclairage Led
- Chauffage climatisation : Production d'eau
- chaude et glacée par pompe à chaleur
- Bureaux cloisonnés câblés en option
Accessibilité:
Bus La Palombière (BUS-30, BUS-ZI8)
Rocade Est A46 : Echangeur 12 St Priest Heyrieux à 600m
Les informations sur les risques auxquels ce bien est exposé sont disponibles sur le site Géorisques : www.georisques.gouv.fr
Voir plus
Afficher les consommations énergétiques
Localisation et transport aux alentours
Favoris
Exporter
Appeler
Contacter
Signaler cette annonce
