Depuis 2011, FIKA Toulouse accompagne ses clients dans le cadre de leurs cessions et leurs acquisitions immobilières au sein de la métropole toulousaine pour les actifs suivants : bureaux, murs com ...
En savoir plus

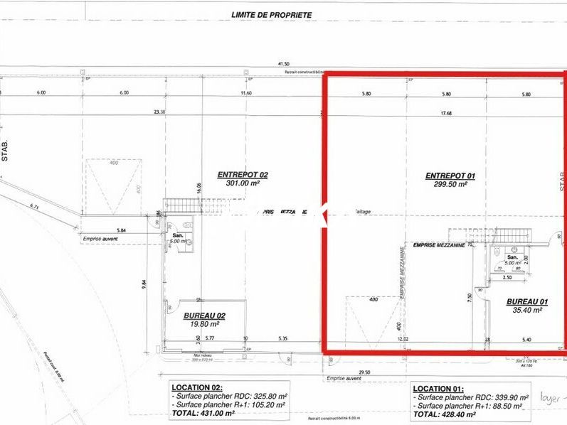
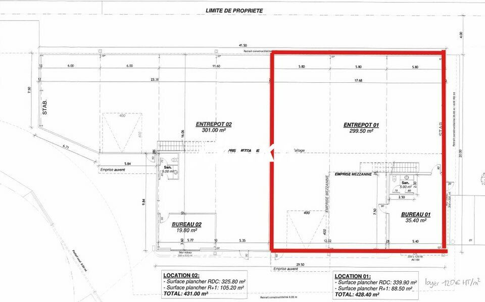
Location activité/entrepôt - 428 m²
Nous vous proposons à la location, dans l'agglomération de Villeneuve Tolosane, un bâtiment d'activité neuf avec une cellule de 428 m², qui est situé dans la nouvelle zone d'activité Ecopôle, à la limite de Cugnaux et Portet-Sur-Garonne.
Ce local bénéficie d'un excellent emplacement à 10 min de Toulouse, avec un accès direct sur l'échangeur de l'A64, la D120 par la RD 24, et l'Ouest toulousain. Sa localisation est au coeur d'un environnement industriel très attractif. La cellule dispose d'une visibilité depuis la route.
Sur une parcelle de 2 082 m² un local neuf aux dernières normes mixte, avec entrepôt, et bureaux qui se compose d'un dépôt de 300 m² accessible via une porte sectionnelle de 4m x 4m et qui dispose de 7m de hauteur sous plafond. Et d'une partie bureau de 124 m² (surface modulable selon les besoins) câblés, climatisés, 1 sanitaire et 1 douche.
Le terrain comprend plusieurs places de stationnement et/ou stockage extérieur, selon l'activité.
Un accès poids lourds est prévu sur le site.
Honoraires : 20% du loyer annuel HT-HC à la charge du preneur
Loyer annuel : 51 360 € HT/HC
Taxe foncière : à définir
Les informations sur les risques auxquels ce bien est exposé sont disponibles sur le site Géorisques : www.georisques.gouv.fr
Disponibilité : septembre 2026
Prestations :
Accès gros porteur
Accès plain-pied
Loyer annuel : 51360 € HTHC
Type de bail : Commercial
Dépôt de garantie : 3 mois
Honoraires à la charge du preneur : 20 % HT
| batiment - lot | surface | loyer annuel |
| lot 3 | 428 m² | 51 360 € |










