AIRES d'entreprises est une société indépendante de l'immobilier d'entreprises qui conjugue le conseil aux utilisateurs et aux investisseurs en répondant aux problématiques des entreprises et à la ...
En savoir plus

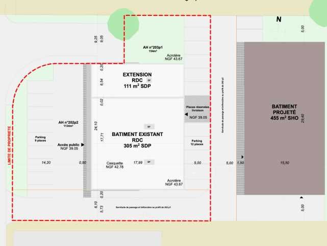
1 200 m²
Terrain à vendre - 1200 m²
Seclin (59113)
Dernière mise à jour : Il y a 2 jours
Terrain constructible de 1 200 m² à vendre sur emplacement stratégique
Aires d'Entreprises vous propose, à l'achat, ce terrain constructible d'une surface d'environ 1 200 m² permettant la construction d'un bâtiment d'une surface d'environ 450 m² SHON, idéalement situé à l'entrée de Seclin, sur un axe passant et dynamique de la MEL.
Régime Fiscal : TVA
Honoraires : A la charge de l'acquéreur
Prestations :
Accessibilité:
Aéroport Aéroport Lille-Lesquin à 10 min
SNCF Gare de Seclin à 10 min de marche
Autoroute Accès par l'A1
Bus Lignes 55 et L92
Les informations sur les risques auxquels ce bien est exposé sont disponibles sur le site Géorisques : www.georisques.gouv.fr
Aires d'Entreprises vous propose, à l'achat, ce terrain constructible d'une surface d'environ 1 200 m² permettant la construction d'un bâtiment d'une surface d'environ 450 m² SHON, idéalement situé à l'entrée de Seclin, sur un axe passant et dynamique de la MEL.
| Étage | Type | Surfaces | Dispo | Prix(m²) | Charges | Honoraires | Fiscal |
|---|---|---|---|---|---|---|---|
| Terrain | 1200 | Après accord | 208,33 m² HD | n.c. | A la charge de l'acquéreur | TVA |
Régime Fiscal : TVA
Honoraires : A la charge de l'acquéreur
Prestations :
- Ce terrain bénéficie d'une localisation privilégiée, à proximité immédiate de commerces et de cabinets médicaux. L'emplacement est stratégique sur un axe passant.
- Idéal pour :
- Projet commercial
- Activité médicale
- Investissement immobilier
Accessibilité:
Aéroport Aéroport Lille-Lesquin à 10 min
SNCF Gare de Seclin à 10 min de marche
Autoroute Accès par l'A1
Bus Lignes 55 et L92
Les informations sur les risques auxquels ce bien est exposé sont disponibles sur le site Géorisques : www.georisques.gouv.fr
Voir plus
Afficher les consommations énergétiques
Favoris
Exporter
Appeler
Contacter
Signaler cette annonce
