CBRE Montpellier, situé au cœur de la ville, est votre partenaire de confiance pour tous vos projets immobiliers professionnels. Notre équipe d''experts locaux accompagne les entreprises de toutes ...
En savoir plus

1 504 m² divisible dès 240 m²
Activité/Entrepôt à vendre - 1504 m²
Lattes (34970)
Dernière mise à jour : Il y a 1 mois
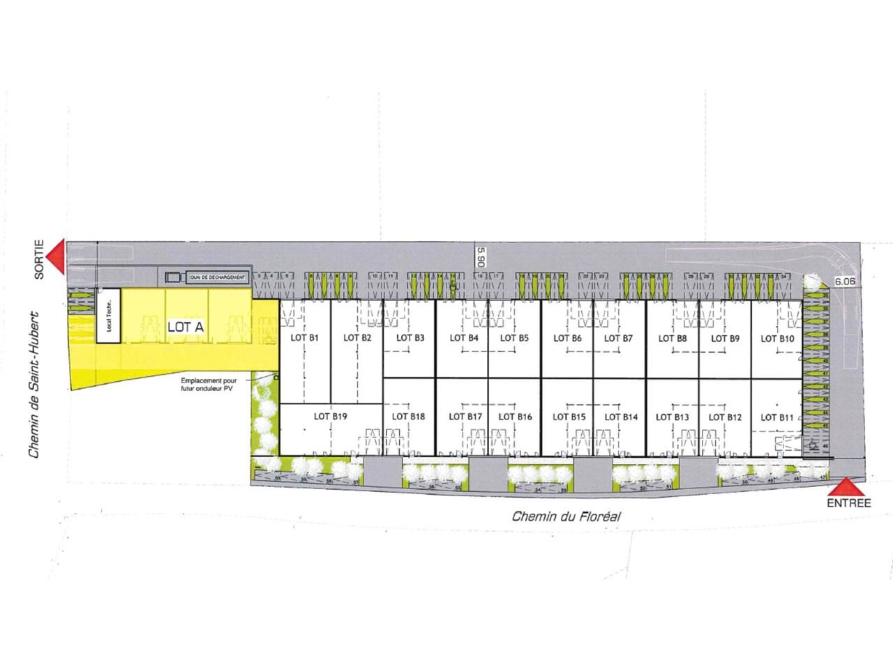
A vendre locaux d'activités neufs à Lattes
Sur la commune de Lattes, un programme de 21 cellules de locaux d'activités disponible à la vente.
Dans un esprit de village d'entreprise, cet ensemble propose des cellules disposant d'une surface en rez-de-chaussée ainsi qu'un espace en mezzanine pour des bureaux ou un stockage léger.
Idéal pour artisans et PMI .
Régime Fiscal : T.V.A.
Honoraires : 3% + TVA du Prix de Vente à la charge de l'acquéreur
Prestations :
Accessibilité:
Autoroute A709 à 1.4 km -2 minutes)
SNCF TGV SUD de FRANCE à 7.2 km (12 minutes)
Les informations sur les risques auxquels ce bien est exposé sont disponibles sur le site Géorisques : www.georisques.gouv.fr
Sur la commune de Lattes, un programme de 21 cellules de locaux d'activités disponible à la vente.
Dans un esprit de village d'entreprise, cet ensemble propose des cellules disposant d'une surface en rez-de-chaussée ainsi qu'un espace en mezzanine pour des bureaux ou un stockage léger.
Idéal pour artisans et PMI .
| Étage | Type | Surfaces | Dispo | Prix(m²) | Charges | Honoraires | Fiscal |
|---|---|---|---|---|---|---|---|
| RDC | Activités | 190,44 | Septembre 2026 | n.c. | n.c. | 3% + TVA du Prix de Vente à la charge de l'acquéreur | T.V.A. |
| MEZ | Usage Mixte | 99,13 | Septembre 2026 | n.c. | n.c. | 3% + TVA du Prix de Vente à la charge de l'acquéreur | T.V.A. |
| Total Cellule B1 | Activités | 289,57 | Septembre 2026 | 1541,9 m² HT | n.c. | 3% + TVA du Prix de Vente à la charge de l'acquéreur | T.V.A. |
| RDC | Usage Mixte | 145,45 | Septembre 2026 | n.c. | n.c. | 3% + TVA du Prix de Vente à la charge de l'acquéreur | T.V.A. |
| MEZ | Usage Mixte | 98,17 | Septembre 2026 | n.c. | n.c. | 3% + TVA du Prix de Vente à la charge de l'acquéreur | T.V.A. |
| Total Cellule B4 | Activités | 243,62 | Septembre 2026 | 1563,2 m² HT | n.c. | 3% + TVA du Prix de Vente à la charge de l'acquéreur | T.V.A. |
| RDC | Usage Mixte | 145,45 | Septembre 2026 | n.c. | n.c. | 3% + TVA du Prix de Vente à la charge de l'acquéreur | T.V.A. |
| MEZ | Usage Mixte | 98,17 | Septembre 2026 | n.c. | n.c. | 3% + TVA du Prix de Vente à la charge de l'acquéreur | T.V.A. |
| Total Cellule B7 | Activités | 243,62 | Septembre 2026 | 1563,2 m² HT | n.c. | 3% + TVA du Prix de Vente à la charge de l'acquéreur | T.V.A. |
| RDC | Usage Mixte | 145,45 | Septembre 2026 | n.c. | n.c. | 3% + TVA du Prix de Vente à la charge de l'acquéreur | T.V.A. |
| MEZ | Usage Mixte | 98,17 | Septembre 2026 | n.c. | n.c. | 3% + TVA du Prix de Vente à la charge de l'acquéreur | T.V.A. |
| Total Cellule B8 | Activités | 243,62 | Septembre 2026 | 1563,2 m² HT | n.c. | 3% + TVA du Prix de Vente à la charge de l'acquéreur | T.V.A. |
| RDC | Usage Mixte | 145,45 | Septembre 2026 | n.c. | n.c. | 3% + TVA du Prix de Vente à la charge de l'acquéreur | T.V.A. |
| MEZ | Usage Mixte | 98,17 | Septembre 2026 | n.c. | n.c. | 3% + TVA du Prix de Vente à la charge de l'acquéreur | T.V.A. |
| Total Cellule B9 | Activités | 243,62 | Septembre 2026 | 1563,2 m² HT | n.c. | 3% + TVA du Prix de Vente à la charge de l'acquéreur | T.V.A. |
| RDC | Usage Mixte | 142,48 | Septembre 2026 | n.c. | n.c. | 3% + TVA du Prix de Vente à la charge de l'acquéreur | T.V.A. |
| MEZ | Usage Mixte | 97,17 | Septembre 2026 | n.c. | n.c. | 3% + TVA du Prix de Vente à la charge de l'acquéreur | T.V.A. |
| Total Cellule B10 | Activités | 239,65 | Septembre 2026 | 1563,2 m² HT | n.c. | 3% + TVA du Prix de Vente à la charge de l'acquéreur | T.V.A. |
Régime Fiscal : T.V.A.
Honoraires : 3% + TVA du Prix de Vente à la charge de l'acquéreur
Prestations :
- Sol : Dalle béton
- Câblage : Fibre
- Immeuble indépendant
- Surface RDC : 914,72 m²
- Surface terrain : 0
- Haut. libre min. ss poutre : 3,95 m
- Haut. libre max. ss poutre : 6,95 m
- Nbr de portes à quai : 1
- Ossature : Métallique
Accessibilité:
Autoroute A709 à 1.4 km -2 minutes)
SNCF TGV SUD de FRANCE à 7.2 km (12 minutes)
Les informations sur les risques auxquels ce bien est exposé sont disponibles sur le site Géorisques : www.georisques.gouv.fr
Voir plus
Afficher les consommations énergétiques
Favoris
Exporter
Appeler
Contacter
Signaler cette annonce

