L’agence CBRE Lille conseille et accompagne les chefs d’entreprise dans leurs projets immobiliers quels que soient leur taille et leur secteur d’activité. Spécialistes de la transaction de bureaux, ...
En savoir plus

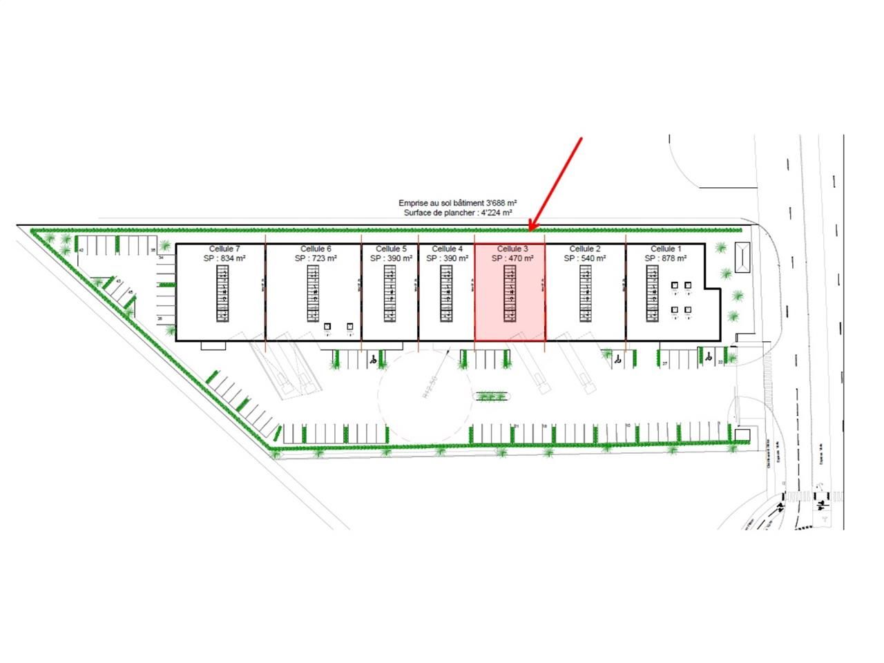
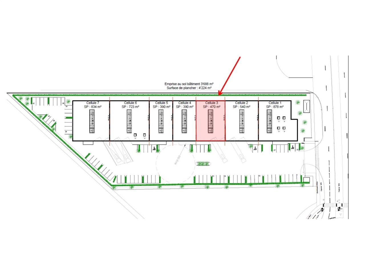
860 m² divisible dès 390 m²
HT HC
Location activité/entrepôt - 860 m²
Sainghin-en-Mélantois (59262)
Dernière mise à jour : Il y a 2 mois
CBRE Lille, spécialiste de l'immobilier d'entreprise, vous propose à la location des cellules d'activités récentes à partir de 390 m², idéalement situées sur la commune de Sainghin en Mélantois, au coeur du CRT.
Les cellules sont implantées dans un parc contemporain offrant des prestations haut de gamme. Opportunité à ne pas manquer, contactez nous pour visiter !
Appelez-nous pour en savoir plus ou pour convenir d'une visite au 03.20.21.88.50 !
Impôt Foncier : 5,85 €/m²/an
Régime Fiscal : T.V.A.
Dépôt de garantie : 3 mois de loyer TTC
Honoraires : 15% HT du loyer annuel HT HC à la charge du preneur
Information sur le Bail :
Loyer Cellule 3 : 43 650,00 euros an HT/HC Loyer Cellule 5 : 31 200,00 euros an HT/HC
Prestations :
Accessibilité:
Autoroute A1 / A22 / A23 / A27
Bus Ligne Z8 arrêt : ZA du Mélantois
Les informations sur les risques auxquels ce bien est exposé sont disponibles sur le site Géorisques : www.georisques.gouv.fr
Les cellules sont implantées dans un parc contemporain offrant des prestations haut de gamme. Opportunité à ne pas manquer, contactez nous pour visiter !
Appelez-nous pour en savoir plus ou pour convenir d'une visite au 03.20.21.88.50 !
| Étage | Type | Surfaces | Dispo | Loyer | Charges | Type de bailRév. annuelle |
|---|---|---|---|---|---|---|
| Activités | 349 | 6 mois ap. acc. | Indice ILAT | |||
| Bureaux | 121 | 6 mois ap. acc. | Indice ILAT | |||
| Total Cellule 3 | Activités | 470 | 6 mois ap. acc. | 92,87 m²/an HT HC | 4365 HT/an | 3-6-9 ansIndice ILAT |
| Activités | 390 | 6 mois ap. acc. | 80 m²/an HT HC | 3120 HT/an | 3-6-9 ansIndice ILAT |
Impôt Foncier : 5,85 €/m²/an
Régime Fiscal : T.V.A.
Dépôt de garantie : 3 mois de loyer TTC
Honoraires : 15% HT du loyer annuel HT HC à la charge du preneur
Information sur le Bail :
Loyer Cellule 3 : 43 650,00 euros an HT/HC Loyer Cellule 5 : 31 200,00 euros an HT/HC
Prestations :
- Cellule 3 :
- 2 portes sectionnelles (4 m x 4,3 m)
- Monte charge
- Hauteur sous plafond 7,50m
- RT 2012
- DPE classe B
- Voute lumineuse
- Plateforme élévatrice
- Agencement bureaux lumineux
- Cellule 5 :
- 1 porte sectionnelle (4 m x 4,3 m)
- Monte charge
- Hauteur sous plafond 7,50m
- RT 2012
- DPE classe B
- Voute lumineuse
- Plateforme élévatrice
- Agencement bureaux lumineux
- Places de Parking pour toute la zone
- Compris dans les charges :
- Assurance bâtiment
- Surveillance du site par Sécuritas
- Entretien des espaces vert et de la voirie
- Nettoyage des parties vitrées extérieures
- Entretien toiture et réseaux extérieurs
- Surface terrain : 0
Accessibilité:
Autoroute A1 / A22 / A23 / A27
Bus Ligne Z8 arrêt : ZA du Mélantois
Les informations sur les risques auxquels ce bien est exposé sont disponibles sur le site Géorisques : www.georisques.gouv.fr
Voir plus
Afficher les consommations énergétiques
Favoris
Exporter
Appeler
Contacter
Signaler cette annonce










