Société de conseil immobilier implantée sur Lyon et Paris, Sorovim accompagne particuliers et professionnels dans leurs projets de vente, d’acquisition, d’investissement et d’estimation de bien.Sor ...
En savoir plus

2 400 m² divisible dès 900 m²
Prix sur demande
Activité/Entrepôt à vendre - 2400 m²
Dardilly (69570)
Dernière mise à jour : Il y a 23 jours
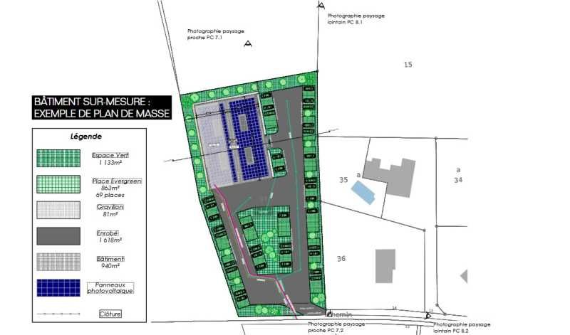
A vendre ou à louer clé en main à Dardilly
Au coeur de la Techlid à Dardilly, nous vous proposons ce bâtiment clé en main divisible à partir de 900 m² offre une grande flexibilité d'aménagement. Possibilité de faire un bâtiment sur 3 niveaux
Honoraires : 3% HT du prix de vente HT, à la charge de l'acquéreur
Information sur le Bail :
Loyer : nous consulter
Prestations :
Accessibilité:
Autoroute Accès à l'A6 en 4 min
Bus Les Villas (Ligne 3, Ligne 61)
Les informations sur les risques auxquels ce bien est exposé sont disponibles sur le site Géorisques : www.georisques.gouv.fr
Au coeur de la Techlid à Dardilly, nous vous proposons ce bâtiment clé en main divisible à partir de 900 m² offre une grande flexibilité d'aménagement. Possibilité de faire un bâtiment sur 3 niveaux
| Étage | Type | Surfaces | Dispo | Prix(m²) | Charges | Honoraires | Fiscal |
|---|---|---|---|---|---|---|---|
| Activités | 1500 | n.c. | n.c. | 3% HT du prix de vente HT, à la charge de l'acquéreur | |||
| Activités | 900 | n.c. | n.c. | 3% HT du prix de vente HT, à la charge de l'acquéreur |
Honoraires : 3% HT du prix de vente HT, à la charge de l'acquéreur
Information sur le Bail :
Loyer : nous consulter
Prestations :
- Options : Bureaux et locaux sociaux
- Mezzanine
- Surface terrain : 4695
- Equipements entrepôts : Façade : Bardage
Porte sectionnelle
Portail coulissant
Nombreuses places de parking
Livraison : locaux bruts / fluides en attente
Toiture pré-conçue centrale photovoltaïque
Stationnement pré-équipé IRVE (Infrastructure de Recharge de Véhicule Électrique) - Ossature : Métallique
Accessibilité:
Autoroute Accès à l'A6 en 4 min
Bus Les Villas (Ligne 3, Ligne 61)
Les informations sur les risques auxquels ce bien est exposé sont disponibles sur le site Géorisques : www.georisques.gouv.fr
Voir plus
Afficher les consommations énergétiques
Localisation et transport aux alentours
Favoris
Exporter
Appeler
Contacter
Signaler cette annonce




